葡萄花期疏花,只要疏除小穗,操作比较容易,一般疏花穗后疏果量较少或不需要疏果。 有很多品种进行花序整形之后,就不用进行疏果了,如无核红宝石、夏黑、巨峰、巨玫瑰等。 (2)花序整形的时间 1)四倍体品种(巨峰系品种)花序整形方法。 葡萄花期疏花,只要疏除小穗,操作比较容易,一般疏花穗后疏果量较少或不需要疏果。 有很多品种进行花序整形之后,就不用进行疏果了,如无核红宝石、夏黑、巨峰、巨玫瑰等。 (2)花序整形的时间 1)四倍体品种(巨峰系品种)花序整形方法。 葡萄结果能力强,自然结果状态下,会出现过量结果现象,会导致果粒间竞争营养,不利于果粒膨大,出现小粒现象,因而要人为干预,控制产量,一般亩留花序 3000~4000 个,留果穗 00 ~ 3000个,亩产量控制在 1500~00千克,可保证果粒充分膨大。
葡萄盛花期能浇水吗 养花之家手机版
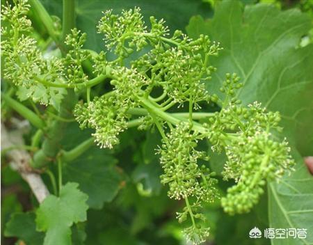
葡萄花序图片
葡萄花序图片-2、葡萄花穗整形的主要方式 ①调控葡萄果穗大小 正常生产需要个花蕾结果,品种不同果穗大小不一样,通过花穗整形,可以达到控制穗形大小。 日本生产上,商品果穗要求450 500克/穗,我国很多地方葡萄果穗达1公斤以上。 ②调控花期的一致性 通过保留穗尖整形,保留的穗尖花期略迟,但开花期相对一致,特别适用无核化处理,利于掌握处理时间,提高无核率葡萄的单花由花萼、花托、雌蕊、雄蕊、花冠(花帽)、花梗组成。 花冠为绿色,呈冠状,包着整个花器。 雌蕊由子房、花柱、柱头组成。 子房有2室,每室2个胚珠,受精后形成1~4粒种子。 雄蕊5~8个,由花丝、花药(内有花粉)组成。 葡萄的花序和卷须是同一起源的器官。 在新梢上可以看到从典型花序到典型卷须的各种中间过渡类型。 卷须在新梢上的着生方式随



葡萄是什么花序类型属于圆锥状花序 植物说
葡萄花序整理有技巧,做好两点至关重要 发布于: 1046 来源: 甘肃农民网 葡萄开花时,花序中可有个花朵,但大部分花朵要在坐果期落掉,如果对保留在结果枝上的花序进行疏花,可加强留下花朵的发育;以下葡萄花序整理方法,供生产中参考。(7)葡萄的花序为复总状花序(圆锥花序)。 (8)大多数葡萄品种为两性花,能自花授粉正常结实,在开花后37天会开始落果,花后9天为落果高峰期。 (9)花期低温阴雨、枝梢徒长、树势衰弱、*壤缺硼,都会使得葡萄大量落果。 2、对环境条件的要求葡萄花序、果穗整理的具体措施 我要创富网 浏览: 4673 收藏本文 葡萄 疏花序的具体方法有:拉穗,通常在葡萄开花前10~天进行,花序拉长程度与时期有关,拉得越早,花序越长,越晚,越不明显。
1花序梗 2花序轴 3花朵 葡萄花朵的花萼不发达,5个花萼合生,包围着花的基部,5个绿色花瓣自顶部合在一起,形成帽状花冠,开花时花瓣自基部与子房分离,在雄蕊的作用下从上方脱落。 每朵花有5个雄蕊,1个雌蕊(图28)。 图28 花的形态 1花蕾 2花冠 3雌雄蕊 4脱落的花冠 根据雌蕊和雄蕊发育的情况,葡萄的花可分为完全花、雌能花和雄花(图29)。 图29 葡萄的主要花型 1完全花 1、养分供给 从花芽分化的规律来看,花序的形态分化期,是来年有花、无花的关键期。 而此期正处于新稍生长、开花坐果期和果实膨大期。 新梢生长、花序、果实发育膨大、冬芽发育均需要大量营养,三者竞争激烈,梢和果在竞争中占优势,冬芽竞争中处于劣势。 冬芽营养不良进而影响花芽分化。 花芽继续分化营养物质来源主要靠树体营养积累和根部对矿质葡萄(学名: Vitis vinifera L)为葡萄科葡萄属木质 藤本植物 ,小枝圆柱形,有纵棱纹,无毛或被稀疏柔毛,叶卵圆形, 圆锥花序 密集或疏散,基部 分枝 发达 ,果实球形或 椭圆形 , 花期 45月, 果期 月。 葡萄是世界最古老的果树树种之一,葡萄的 植物 化石 发现于第三纪地层中,说明当时已遍布于欧、亚及格陵兰。 1 葡萄原产亚洲西部,世界各地均有栽培, 2 世界各地的葡萄约95%集中分布在
注意: (1)易落花、落粒的品種不拉花序,提子類葡萄不建議拉花序 (2)設施內溼度大、溫度高時不拉花序 (3)利用灌溉、施高氮肥的方法也可自然拉長花序。 3、修花序 開花前按生產要求進行花序修整,從而使果穗長成符合市場需求的一定形狀。 圓錐 一、疏葡萄花序法 该方法指将葡萄结果枝上的花序整个去掉。 在葡萄株植负载量较大、花序过多时,需要疏花序。 将发育差的弱小花和分布过密或位置不适当的花序疏掉,使养分集中供应留下的优良花序。 除了总的植株负载量外,还要看结果枝生长强弱情况。 一般强健的结果枝着生两个甚至更多的果穗,都能发育良好,而且还可作为下一年的优良结果母枝圆锥花序,总状花序花序轴分枝,每一分枝成一总状花序,整个花序略呈圆锥形,又称复总状花序(compoundraceme),如稻、葡萄等的花序。 3 穗状花序 ,长长的花序轴上着生许多无梗或花梗甚短的两性花,如车前等的花序。



夏黑葡萄花序 搜狗图片搜索



农事指导 4月份葡萄生产管理要点大全 萌芽 葡萄树 绿盲蝽 抹芽 葡萄 花序
葡萄花序修剪的作用和方法 葡萄在开花的时候,修剪花序是必不可少的一道工序,主要是为了把营养集中到有限的花序上来,促进花蕾开花整齐,果穗美观,提高品质。葡萄开花前花序整形主要有以下作用。 一、修剪花序的作用 1、控制果穗大小。二、葡萄没有花序的原因 1、冬季葡萄没有做好埋*措施,冬季没有保护好伤口,导致葡萄树体受损开不出花序。 2、 为追求产量留结果枝过多,挂过量过大,造成树势衰弱,来年形不成花序。 3、采收后忽略树体营养供给,营养不充分,来年花序生长条件不具备,形不成花序。 葡萄 花序着生初节位特点 葡萄花序着生的节位影响枝条的修剪长度以及树体大小,尤其是影响生长季修剪方式。 了解葡萄花序着生位置,对葡萄开花习性有较全面认识,便于修剪时进行低、中、高节位的分类管理。 田间调查发现,鲜食品种中,第1花序着生节位分布在1~8之间,在第4节位的品种占384%,分布最少的初节位为第7节,欧亚种花序着生初节位比欧美



葡萄夏季修剪的时间及方法 花百科



开春葡萄发芽没花序影响产量 怎么补救 这2招补救方法要知道 花序 花芽 补救 新浪新闻
(7)葡萄的花序为复总状花序(圆锥花序)。 (8)大多数葡萄品种为两性花,能自花授粉正常结实,在开花后37天会开始落果,花后9天为落果高峰期。 (9)花期低温阴雨、枝梢徒长、树势衰弱、土壤缺硼,都会使得葡萄大量落果。 2.对环境条件的要求 葡萄花序的质量和数量直接影响到葡萄后期的产量和品质。许多果园一般花序较少,小花序,特别是对于果树的早期栽培,甚至没有花序。那原因是什么?如何解决和补救?让我们和小编一起看看。 花序小的原因 1、照明原因 光照对葡萄花芽分化有很大影响。



葡萄拉穗 拉花 最佳时间及技术要点是什么 有什么作用 土流网



葡萄花序整形讲解 一定要重视起来 果穗



葡萄花序展露期 葡萄花序分离期 伤感说说吧



葡萄花序整形遇特殊情况怎么处理 看小阳实地中是怎么解决的 Youtube



葡萄花序小该怎么办 农村致富经



好花就是丰收的希望 夏黑葡萄花序分离差 怎么使用赤霉酸改善 网易订阅



你的葡萄为什么没有花 为什么有的葡萄是空枝 快资讯



葡萄 使用案例 四川龙蟒福生科技有限责任公司



葡萄



葡萄盛花期能浇水吗 养花之家手机版



葡萄花期要注意花序 处理好能增产 很多人都大意了 快资讯



葡萄花序整形 好处多多多



葡萄花期管理是关键 葡萄 花序 葡萄树



葡萄花序分离期 葡萄花序分离期图片 伤感说说吧



想要葡萄花序分离质量好 摘心 施肥调树势 做好就是优质果穗形 养分



一只葡萄酒的诞生 一 葡萄酒知识 意酒网 红酒 意大利葡萄酒 意酒知识与教育 侍酒 品酒



村宝网 葡萄花序分离期做好管理 能促进保花环节 让葡萄丰产 知乎



葡萄花序分离期 葡萄花序分离期图片 伤感说说吧



葡萄开花结果的特性 你应当了解 花序 花芽 卷须 新浪新闻



葡萄 葡萄科葡萄属植物 百度百科



头条问答 葡萄花序不掐尖会怎样 6个回答



立夏来了 风暖昼长万物并秀



葡萄抹芽疏枝 花序修剪 果穗调整的方法技巧 种植达人网



求助 葡萄花序上很多黑亮的小甲虫 会跳 还有黄色的 该怎么办 葡萄论坛 水果邦农人之家



厚强葡萄苗基地讲解葡萄苗花序整形 知乎



葡萄收获的季节是秋季吗 阅品美食



黑佳拉 Wikiwand



葡萄打头的最佳时间 花百科



葡萄是什么花序类型属于圆锥状花序 植物说



葡萄花序展露期 葡萄花序分离期 伤感说说吧



葡萄树的生长及管理 红酒世界网



葡萄花序顶端畸形产生的原因探究 参考网



头条问答 葡萄花序不掐尖会怎样 6个回答



盆栽葡萄修剪视频教程 花语网



葡萄花穗整理



葡萄是哪种藤本植物 天天看点



葡萄种植技术 葡萄如何疏花疏果 中国农业网 农林网 种植什么最赚钱 农林种植网



葡萄盛花期能浇水吗 养花之家手机版



栽培 葡萄花序少 无花序的原因及防治措施 树体 影响 花芽



葡萄的大小呢 过来看看 百科ta说



葡萄花序顶端畸形产生的原因探究 参考网



葡萄没有花序是什么原因引起的 附补救措施 种植达人网



葡萄几月开花 土流网



葡萄花期管理是关键 葡萄 花序 葡萄树



你的葡萄为什么没有花 葡萄 中国果农网 果树种植的家园 提供果树种植知识 果园管理技巧 果农致富经 果树新品种 水果行业信息



波特兰先生的博客 屋顶葡萄开花啦



有成熟浆果和叶子的总状花序葡萄照片 正版商用图片15hpju 摄图新视界



葡萄花序整形讲解 一定要重视起来 果穗



夏黑葡萄栽培技术要点详解 种植达人网



茉莉香葡萄种植技术 土流网



葡萄花期管理技术 开花前后怎么管理 花百科



葡萄树会开花吗几月份开花 植物说



葡萄花期要注意花序 处理好能增产 很多人都大意了 快资讯



葡萄 葡萄科葡萄属植物 百度百科



葡萄



葡萄抹芽疏枝 花序修剪 果穗调整的方法技巧 种植达人网



头条问答 温克葡萄最近怎样修穗 三农小砖家的回答 0赞



葡萄



葡萄花序分离期 葡萄花序分离期图片 伤感说说吧



葡萄花序長出來了 這麼管 圓錐形的穗形絕對不成問題



葡萄枝子向上长怎么办 养花之家手机版



盆栽葡萄怎么修剪好看 植物说



葡萄树怎么修剪 农作物 懂得



葡萄花序图片 伊卟图库



葡萄开花前后怎样管理 花卉百科园



葡萄花期管理技术 开花前后怎么管理 花百科



葡萄 芊芊 Dokzbcavirai的笔记 美食天下



葡萄 芊芊 Dokzbcavirai的笔记 美食天下



腾讯内容开放平台



腾讯内容开放平台



葡萄烂花序严重怎么办 知乎



如何科学提高花芽分化 哔哩哔哩



葡萄花序少的主要成因及补救措施 哔哩哔哩 Bilibili



葡萄花序分离期打戴森锰锌对花序有影响吗 葡萄论坛 水果邦农人之家



葡萄花期用药提高坐果 土流网



葡萄花期如何管理 抓好下面几个方面 红屋顶酒庄



头条问答 葡萄什么时候开花 要怎么管理才好 29个回答



在葡萄疏果时你能想象出来成熟时候的样子吗



葡萄入夏三剪 新梢 芽眼 夏剪 花序 网易订阅



今年开春葡萄没有花序到底是个什么情况 那都是去年管理不善埋下的祸根 原基



葡萄粒稀疏 大小粒严重 坐果不好 主要哪些原因造成的 果实 葡萄 花序 有机肥 花粉 微量元素



葡萄花序为什么会枯萎



夏黑葡萄花序拉长 看国光果动力套餐 腾讯新闻



葡萄是什么花序类型属于圆锥状花序 植物说



头条问答 葡萄花序不掐尖会怎样 6个回答



头条问答 葡萄花序少的主要成因及补救措施是什么 19个回答



头条问答 葡萄花序少的主要成因及补救措施是什么 19个回答



葡萄花期管理技术 开花前后怎么管理 花百科



葡萄没有花序是什么原因引起的 附补救措施 种植达人网



葡萄沒有花序怎麼辦 教你一個方法 不花錢讓你家葡萄重新結果 Youtube



葡萄坐果其实不难 这几招提高葡萄坐果率 凤凰网



葡萄花序少 无花序怎么办 还得从促进花芽分化说起 树体



花序直接影响产量 葡萄花序为什么总出问题 每日头条



原来一棵葡萄树是这样组成的 图 中国新闻网



葡萄掐尖什么时候 花百科


0 件のコメント:
コメントを投稿